Eladó telek, Nagybajom
Cím | |||
| Magyarország, Somogy, 7561 Nagybajom Huszár utca | |||
Műszaki adatok | |||
| Gáz | Utcában | Villany | Utcában |
| Csatorna | Utcában | ||
Leírás | |||
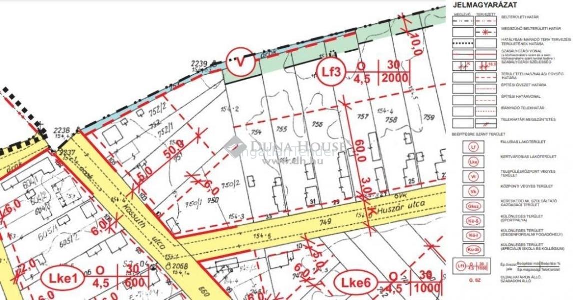
Nagybajom Somogy megye középső részén, a 61-es főút mentén fekszik, Kaposvártól 25 kilométerre nyugatra. 1996-ban elnyerte az Európai gólyafalu címet, amely a település 2001. július 1-jén történt várossá avatása után A gólyák városa névre változott.Az utcafronti, 1079 nm-es, sík, építési telek a Huszár utca 33 szám alatt, az Igmándy kúriától és a Szelen Tótól nem messze található. Az utca aszfaltozott, a telek környezetében kertes lakóházak vannak. Az ingatlan tehermentes, azonnal birtokba vehető.Hrsz.: 750/2Övezeti besorolás: Lf3 (30% beépíthetőség, 4,5m épületmagasság)Víz, csatorna, gáz és villany telekhatáron, vagy az utca végén (kb. 50 méter távolságra) van.Nagybajom szerepel a falusi CSOK településlistán.A telek méretéből adódóan alkalmas családi ház építésére, vagy kisebb mezőgazdasági hasznosításra i | |||


