Eladó zártkerti telek Tóalmáson a természet szerelmeseinek!
Address | |||
| Hungary, Pest, 2252 Tóalmás | |||
Building | |||
| Building type | Egyéb | ||
Technical data | |||
| Electricity | Utcában | ||
Description | |||
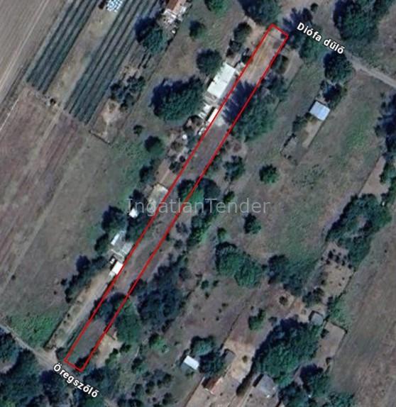
Tóalmáson egy 1747 m²-es zártkerti besorolású telek gyönyörű, nyugodt zöldövezeti környezetben eladó. Ez a hely igazi menedék azok számára, akik szeretnének elszökni a város zajától és saját kis darab természetre vágynak. A telken nincs épület és közmű, így teljes szabadságot ad a jövőbeli tulajdonosnak, hogy saját elképzelései szerint alakítsa ki: legyen szó pihenőkert, hobbibirtok vagy akár befektetés céljáról. Terület: 1747 m² Közművek: nincsenek, de villany, internet az utcában található Környezet: nyugodt, zöldövezeti Tóalmás könnyen megközelíthető, a telek pedig a település csendes részén található, ahol a madárcsicsergés az egyetlen háttérzaj. Fedezze fel Tóalmást! Tóalmás egy hangulatos, nyugodt község Pest vármegyében, mindössze kb. 50 km-re Budapesttől. A település híres termálfürdőjéről, barátságos lakóiról és békés, természetközeli környezetéről. Ideális választás azoknak akik szeretnének kiszakadni a rohanó mindennapokból, de mégis elérhető közelségben maradnának a fővároshoz. A környék kiválóan alkalmas pihenésre, kirándulásra vagy kertészkedésre és egyre többen fedezik fel maguknak mint nyugodt, zöld alternatívát a városi élethez képest. Ne hagyja ki ezt a páratlan lehetőséget! | |||



